観光情報サイト「 ふぁにぷろ」東海(岐阜)・北陸(石川・福井・富山)・関西(滋賀)を結ぶ

つちやまぶどうえん

土山ぶどう園

ひまわり迷路 ぬけられるかな?

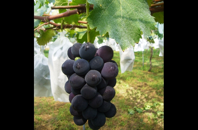
ぶどう狩りなら!

ひまわり迷路が有名な土山ぶどう園。

5万本のひまわり迷路で遊べる他、ぶどう狩りやBBQ、

そしてヤギ゙やうさぎと遊べちゃう。夏の思い出に一度は訪れたい場所。

基本情報

所在地
〒922-0563 石川県加賀市豊町ロ-4

電話番号
TEL: 0761-72-4617
営業時間

8:00~17:00

休日

シーズン中は無休

駐車場

50台

予算

ぶどう狩り(デラウェアの場合) 

大人 800円 小学生 500円 幼児 300円 2歳以下 無料

お店・施設情報

フリーワード検索
施設/店名から探す
地域から探す
福井 | 石川 | 滋賀 | 岐阜
カテゴリ別に探す
  • 観光・レジャー
  • グルメ・食事
  • 和菓子・スイーツ
  • カフェ・喫茶
  • ショップ・ギフト
  • 学び・体験・スポーツ
  • 宿泊
  • 日帰り温泉
  • 健康・癒し・美容
  • その他

Adobe Flash Player
このコンテンツをご覧いただくには
Adobe Flash Playerが必要となります。

Copyright (C) 2009 Funny Production Inc. All Rights Reserved.
各ページの記事及び写真の無断転載を禁じます。